不動産価格の高騰、ついに潮目がきた!不幸にならない再開発の街購入(豊洲編)
再開発エリアの最前線の豊洲! 利便性よく人口増加継続も…不安はやはり災害リスク?
2021/01/16 08:00
#不動産投資 #東京これから買える街 #豊洲 #江東区
3.豊洲の再開発地域
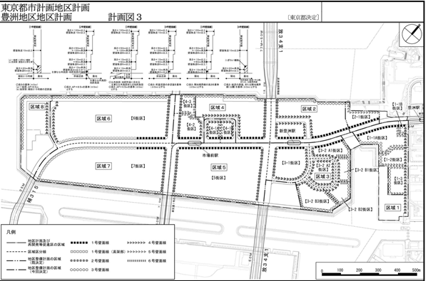
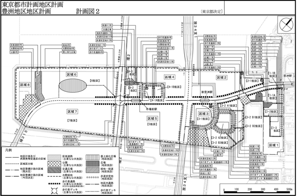
06年にオフィスビルの「豊洲センタービル」が完成後、大型商業施設の「アーバンドック ららぽーと豊洲」も相次いで開業しました。その再開発事業は、現在も進められており、大規模な事業計画も計画されています。商業や住宅、文化など多様な機能性が高い複合市街地として形成を図るために計画された「豊洲地区地区計画(江東区豊洲二丁目、豊洲五丁目及び六丁目各地内)」が代表的です。それにより、街や交通の整備、大型商業施設やタワーマンションの建設がどんどん進められ、活気がある魅力的な街となっています。
具体的な詳細は、以下の画像をご確認ください。

※上記4点の引用:不動産ファイル(豊洲地区地区計画PDF)
https://www.city.koto.lg.jp/390111/machizukuri/toshi/chiku/kekaku/documents/keikakuzu.pdf
さらに、豊洲二丁目駅前地区で、三井不動産株式会社が再開発を現在進行形で進めています。具体的には、街区名を「豊洲ベイサイドクロス」と命名し、最先端の機能を兼ね備えたオフィスゾーンやバラエティ豊かな商業施設など、一層街の魅力が高まる「豊洲ベイサイドクロスタワー」が20年8月に開業しました。
これにより、今後も街の活性化や海外訪問客の需要が高まることが期待されています。
主な内容は、以下の画像をご確認ください。

以上3点引用:三井不動産
https://www.mitsuifudosan.co.jp/corporate/news/2019/1129/
サイゾー人気記事ランキングすべて見る
12:20更新
イチオシ記事
お笑いトリオ・鬼ヶ島解散?投票アプリ「TIPSTAR」がファン交流イベント開催


